Zu Verkaufen €385.000 - Grundstück (Wohnbebauung)
Traumhaftes Baugrundstück für den ruhesuchenden Bauherren. Die Süd-/sowie Ostseite sind auf Ewig unverbaubar. Das garantiert auch die Tiefe und einzigartige Ranlage des Grundstückes. Hier werden Sie von der Sonne den ganzen Tag verwöhnt. Die umliegende Naturlandschaft mit Feld, Flur und Wald wird Sie begeistern. Kein Bauzwang. Eine Planung für ein modernes Wohnhaus liegt bereits vor.
Attraktives und unverbaubares Baugrundstück in reizvoller Rand-/Naturlage von Brilon-Petersborn. Brilon Stadt ist mit dem Auto in 5 Minuten erreichbar. Auch nach Willingen sind es nur 10 Autominuten. Golfplatz, Waldfreibad, Wanderwege, Loipen und Gastronomie lliegen vor der Tür.
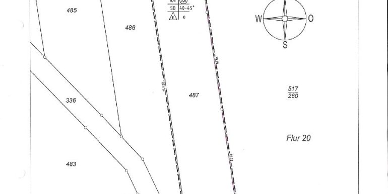
Allgemeines Wohngebiet, GRZ 0,4, GFZ 0,8, eingeschossige Bauweise, Satteldach oder Krüppelwalmdach mit 40 – 45 Grad Dachneigung, offene Bauweise, Einzelhaus.
Details
- Grundstücksfläche: 3.500 m²
- Kaufpreis: 385.000 €
- Courtage: 3.57 %
- Grundflächenzahl: 0.4
- Geschossflächenzahl: 0.8
- Zustand: Erstbezug




